Jedes Tierinserat geprüft - Dem Tier zuliebe
Suche

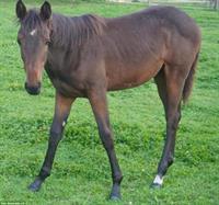
Warmblut Stute | Sportpferd - Springen

Tierinserat 42200428.08.2025Schweizer Warmblut
Warmblut Stute | Sportpferd - Springen
Beschreibung
Zum Verkauf direkt vom Züchter, eine beeindruckende Schweizer Warmblut Stute aus dem Jahr 2011. Mit ihrem eleganten braunen Fell und einem Stockmaß von 178cm ist die Stute sowohl im Aussehen als auch im Charakter ein wahrer Blickfang.

Diese talentierte Stute eignet sich hervorragend für den Springsport und zeigt großes Potenzial in diesem Bereich. Ihre Bewegungen sind geschmeidig und kraftvoll, was die Stute zu einer vielversprechenden Partnerin für ambitionierte Reiter macht.

Die Stute zeichnet sich durch ein freundliches und umgängliches Wesen aus. Die Stute ist brav im Umgang, sowohl beim Reiten als auch im Stall. Ihre ruhige Art macht sie zu einer idealen Partnerin für Reiter aller Erfahrungsstufen.

Wenn Sie auf der Suche nach einer zuverlässigen und leistungsstarken Springstute sind, dann ist diese Schweizer Warmblut Stute genau das Richtige für Sie! Bei Interesse oder weiteren Fragen stehe ich Ihnen gerne zur Verfügung.
Website
Bild 1: Warmblut Stute | Sportpferd - Springen
Bild 2: Warmblut Stute | Sportpferd - Springen
Bild 3: Warmblut Stute | Sportpferd - Springen

Weitere Schweizer Warmblut Kleinanzeigen Schweiz

Schweizer Warmblut Stutfohlen mit Top-Abstammung
Granada ist ein typvolles, sanftes Schweizer Warmblut Stutfohlen mit sehr guter Springabstammung. • Vater: Cassini Gold • Mutter: Jlena Das Stutfohlen wurde mit 7/7/7 benotet und bringt beste …
VORAN - Hengstfohlen mit Top-Abstammung sucht neues Zuhause
Ein wunderschönes, typvolles und feines Hengstfohlen mit exzellenter Springpferde Abstammung ist abzugeben. (V: Vancouver de Lanlore, M: Cute Cinderella). VORAN wurde sehr gut benotet und bringt …
Dressur Hengstfohlen zu verkaufen
Unser bewegungsstarkes Hengstfohlen in der begehrten schwarzen Jacke sucht seinen neuen Liebhaber. Geboren am 08.05.2025 begeistert der Hengst uns immer mit seiner Menschenbezogenheit und Liebenswürd…
2.5-jährige Schweizer Warmblut Stute zu verkaufen
Suche Traumzuhause für Stute Nerja aufgrund von Bestandsverkleinerung. Die schöne Warmblutstute kennt Bodenarbeit und das Reiten an der Hand. Das Pferd ist sehr lieb und umgänglich. Weitere …
6-jährige Prämien Zuchtstute
Wir suchen für unsere Stute ein super Zuhause... Die Stute ist elegant, verschmust, lieb im Umgang, lernwillig, vermögend und doch noch ein wenig speziell ;) Sie ist kein Anfänger oder Wiedereinsteig…